Page 66 - Demo
P. 66
32
r
e
v
i
R
e
p
u
l
a
d
RIO MONTE DR
a
u
G
)
CLEARWATER PASEO
MARIE ST
FRANCES ST
MEMORIAL BLVD (STATE HWY 27
MARGARET ST
WHELAN DR
KERR COUNTY SOIL & WATER
MG BUILDING MATERIALS
KPUB
Lot 2 Lot 1
Lots 23-77 Parts
Lots 20, 21 & 22
Lot 19
Lots 16 & 17
Lots 14, 15 TR 3
Lots 12 13 TR 1
Lot 11 Lot 10 Lot 9 Lot 8
Lot 6 PT 7 & 8 PT
Lot 5 PT Lot 6 R Lot 2 R Lot 1 & 6 PT
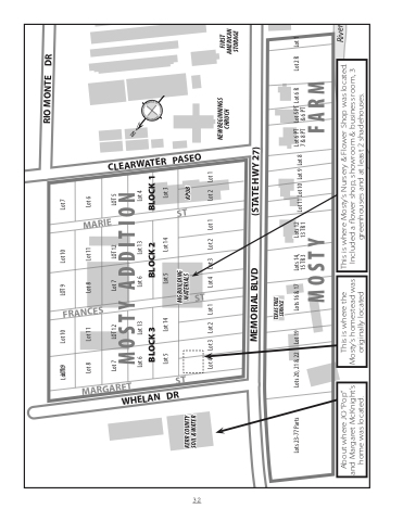
About where JO “Pop” and Margaret McKnight’s home was located
This is where the Mosty’s homestead was originally located
This is where Mosty’s Nursery & Flower Shop was located Included a ower shop, showroom & business room, 3 greenhouses and at least 2 shadehouses
LoLtO1T09 Lot 8
Lot 10 Lot 11
LOT 9 Lot 8
Lot 10 Lot 11
Lot 7 Lot 6
Lot 7
LOT 12
Lot 7
LOT 12
LOT 5
MOSTY ADDITION
Lot 6 Lot 13
Lot 6 Lot 13
Lot 4
Lot 4
Lot 3
Lot 2
Lot 1
Lot 4
Lot 3
Lot 2
Lot 1
BLOCK 3
BLOCK 2
BLOCK 1
Lot 5
Lot 14
Lot 5
Lot 14
Lot 3
TEXAS TREE SERVICE
MOSTY FARM
NEW BEGINNINGS CHRUCH
FIRST AMERICAN STORAGE

